Residential Parcel in Clearlake, CA for only $5,000 cash/Owner Carry Sold

  • $5,000

Private lot in quiet neighborhood close to shopping, dining,lake, health services and everything Lake County has to offer. It has country feeling but it’s just down the road to shopping. Place your manufactured or stick-built home on this lot. The property is approx. 50 ft 100 ft. Cleared lot with few nice trees for shade and privacy. Centrally located close to the highway, parks, hiking, shopping, dining and schools. Perfect location to get away from it all without being too far. Snag your property at the lake while it’s still affordable!

An easy way to start owning real estate.
Buy today for only $5,000 cash or financing $7,900

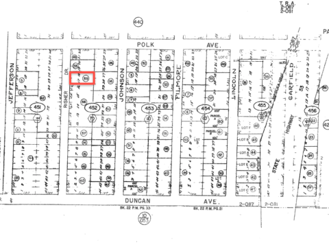
PROPERTY DETAILS:
– Lot Type – Land
– Sale Price – $5,000
– State – California
– County – Lake
– Assessor’s Parcel Number – 039-452-590-000
– GPS Coordinates – 38.95975, -122.62557
– Google map link https://www.google.com/maps/place/3638+Risher+Dr,+Clearlake,+CA+95422/@38.9596028,-122.6277975,17z/data=!3m1!4b1!4m5!3m4!1s0x8083897dd745c605:0xa270d8f5a287a36e!8m2!3d38.9595986!4d-122.6256088
– Property Address – 3638 Risher Dr, Clearlake, CA 96422
– Size – 5,287 Sq. Ft.
– Approx. dimensions: 50 ft x 100 ft Approx
– Taxes – $95.20
– Road Access – Yes, Dirt
– Electricity – At the Street
– Water – Public

Nearby schools in Clearlake

Pomo Elementary
Grades: K-7

Konocti Unified Lower Lake High
Middle School

Lower Lake High
High School

Multiple Purchase Options Available! Finance $1,000 down, $500 doc fee and low monthly payments. Terms are flexible!

Price:
$5,000
Address:
3638 Risher Dr
Clearlake, CA 95422
Lot Size:
0.12
Terms:
For Sale
Property Type:
Land

Call (916) 547-7581 for more details

Property Location